NA Part # Question (HELP!!!!)
So, I'm in the process of replacing all of the hardware in the front suspension on my '90 (see build thread).
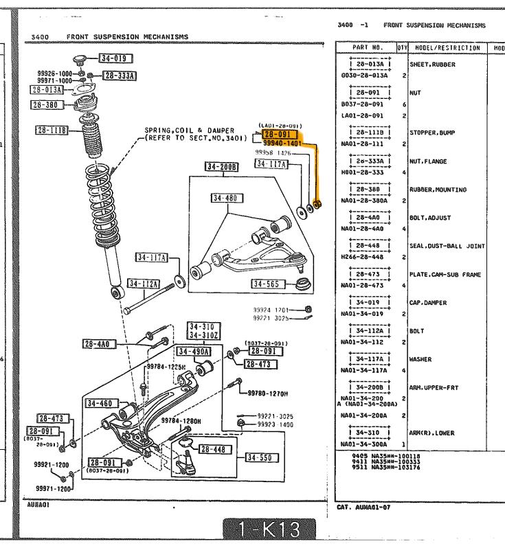
I ordered all of the parts through Rosenthal; however, it became apparent post-shipment that the 28-091 nut is not shared between the upper and lower control arms (duh!). I can't for the life of me find the nut in Rosenthals database. A call yielded no further clues.
I'm looking for this guy:

Thanks in advance,
Zach
I ordered all of the parts through Rosenthal; however, it became apparent post-shipment that the 28-091 nut is not shared between the upper and lower control arms (duh!). I can't for the life of me find the nut in Rosenthals database. A call yielded no further clues.
I'm looking for this guy:

Thanks in advance,
Zach
Alternative request:
Can anyone confirm whether the upper control arm bolt thread is m14? My thread gauges unfortunately stop at m12.
Worst case, I go McMaster-Carr/Fastenal for the nut, though, I'm not sure they'll have class 10.9 locking nuts, particularly if it's 1.5 (fine) thread pitch.
-Zach
Can anyone confirm whether the upper control arm bolt thread is m14? My thread gauges unfortunately stop at m12.
Worst case, I go McMaster-Carr/Fastenal for the nut, though, I'm not sure they'll have class 10.9 locking nuts, particularly if it's 1.5 (fine) thread pitch.
-Zach
Fun fact, this is the only bolt and nut that I've found on the miata that use standard ISO specs rather than JIS. If this was a JIS bolt and nut the wrench would be 19mm instead of 21mm.
Fortunately for me, BelMetric is 15 minutes away from my employers. M14 fine threaded conical locking 10.9 flange nut ... in stock ... for $1.45.
-Zach
Thread
Thread Starter
Forum
Replies
Last Post
StratoBlue1109
Miata parts for sale/trade
21
Sep 30, 2018 01:09 PM
stoves
Suspension, Brakes, Drivetrain
5
Apr 21, 2016 03:00 PM
russian
Miata parts for sale/trade
6
Oct 8, 2015 03:01 PM






